Location
Agent Comments
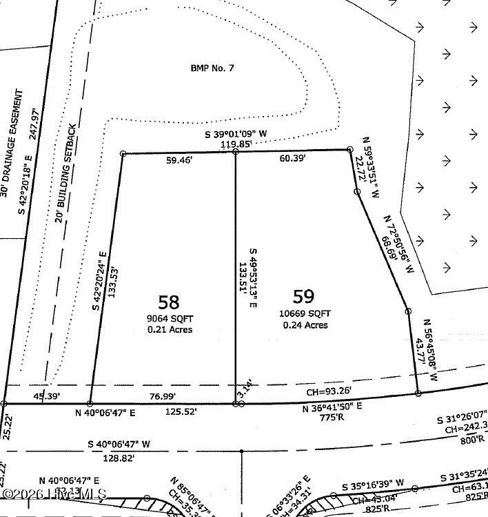
Excellent opportunity for builders or investors to secure two adjacent homesites in the desirable Marsh Landing Place community. Located at 660 Vale Drive (.24 acres) and 664 Vale Drive (.21 acres), these neighboring properties offer the rare chance to develop two custom homes side by side in one of Wilmington's most sought-after residential neighborhoods. Each homesite is individually platted and offers flexibility for a variety of custom floor plans. 660 Vale Drive features approximately 93 feet of road frontage, while 664 Vale Drive offers nearly 77 feet, providing ample space for well-positioned homes with inviting outdoor living areas. The natural surroundings add to the appeal of both properties. Wetlands stretch behind the lots, creating a scenic natural backdrop, while a pond and large easement along one side provide additional separation from neighboring homes, enhancing the sense of privacy for future homeowners. Builders will appreciate the opportunity to purchase both homesites together at a discounted rate, allowing for efficient development of two homes within the same section of the neighborhood while maximizing investment potential. Marsh Landing Place is known for its beautiful wooded streetscapes and neighborhood amenities, including walking trails, a lap pool, and clubhouse. The location is also exceptionally convenient--just a quick drive to numerous dining, shopping, and entertainment options nearby, and only a short drive to Mayfaire and Wrightsville Beach. Opportunities to acquire two adjacent buildable homesites in Marsh Landing Place are rare, making this an attractive option for builders seeking their next project in a well-established and highly desirable community. Contact us today to learn more about purchasing both homesites together.
Additional Features
- County: New Hanover
- Property Type: Residential Land
- Tax Number: R03600-005-431-000
- Water/Sewer: Sewer Available, Water Available, Electricity Available
Recently Viewed
