Location
Agent Comments
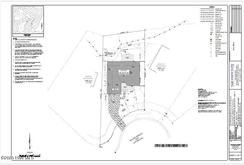
This wooded cul-de-sac home-site in the Riverwood section of Winding River Plantation with a private, heavily wooded rear yard area is being offered with preliminarily approved variances from the Winding River Architectural Review Board (ARB), allowing for a 2000+ square foot 2-story home to be built on it. The current owners live in Winding River and were thinking about downsizing and worked closely with a local builder to modify one of their stock plans to fit on the lot but ultimately decided to stay in their current home and offer this home-site for sale. The plat plan picture in this listing shows placement of that plan on the lot, conforming to Winding River Plantation set-back requirements and the ARB preliminarily approved impervious coverage variance to a total of 3768 square feet allowance. The purchaser of this home-site can contact work with any local builder of their choosing to construct their dream home. As per Winding River Plantation guidelines, approval to build after building plans are finalized are subject to final ARB approval. Ownership of this home-site also provides the owner with access to all the incredible amenities of Winding River Plantation, including a large pool in the main community, tennis and pickleball courts, property owners' clubhouse, a marina on the Lockwood Folly River with a launch ramp and River House, and a Beach Club on Holden Beach with a separate pool and day-use marina on the intercoastal waterway side of Holden Beach.
Additional Features
- County: Brunswick
- Property Type: Residential Land
- Tax Number: 185pa006
Recently Viewed
