Location
Agent Comments
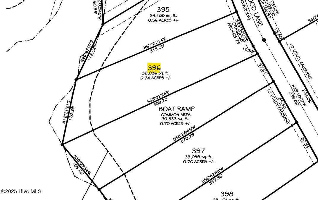
If you have been looking for the perfect deep water homesite, you have found it! This is easily one of the best sites in River Sea Plantation. The water depth is 9+ feet at low tide and there are no bridges to go under between here and the ICW! You will enjoy incredible sunset views over the river and marsh. A private dock and boat lift can be installed at this site (you will need to obtain CAMA permits). This is a rare opportunity to build your custom home along the Lockwood Folly River, but not be in a flood zone! This .74 acre site sits up high above the water and is over 300' deep, providing a huge building envelope. As added bonus, no home will be built on one side of this property as the community boat ramp is adjacent to this site, which gives you enhanced privacy. Grovewood Lane is a quiet cul-de-sac street with many high end custom homes already built. Public water & sewer are available, there is no time frame to start construction and you can use any builder you wish. Residents in River Sea enjoy awesome amenities, including indoor and outdoor pools, a clubhouse complete with a fitness center, tennis & pickleball courts, multiple boardwalks and parks, and a private boat ramp and kayak launch. You are about 12 minutes from Holden Beach and 15 minutes to Oak Island. Waterfront lots in this price range are becoming more and more rare, come take advantage of this opportunity today!
Additional Features
- County: Brunswick
- Property Type: Residential Land
- Tax Number: 184ea025
- Waterfront Features: Water Depth 4+
Recently Viewed
